2374

L'association Les Truffes du Soleil est une association loi 1901 de protection animale dont les missions sont les sauvetages et adoptions de chiens créoles.

16 Mars 2021, le début d'une folle aventure ! Tout commence quand un trio d'amies se lance le défi de débuter une nouvelle histoire en créant une association qui leur ressemble ! Très vite soutenues par notre trésorier, c'est ainsi que Les Truffes du Soleil a pu voir le jour.

Concernés par la protection animale depuis longtemps, nous nous sommes réunis dans un but commun, celui de défendre les plus démunis de Guadeloupe, les petits bergers créoles ! Nous voici donc, accompagnés par de nombreux bénévoles ayant rejoints l'équipe de l'association Les Truffes du Soleil, sauvant aujourd'hui le plus de rescapés de l'enfer que possible.

Chiens et chats secourus, adoptions réussies, bénévoles mobilisés... Voici ce que nous accomplissons chaque jour en quelques chiffres

Chiffres clés

Nos sauvetages par l'histoire d'Hercule...

Voici l'histoire d'Hercule, qui illustre les missions de l'association, les différents bénévoles impliqués.

Hercule, le rescapé
Hercule, le rescapé
Une truffe cachectique sauvée de la rue ...

Le 28 juin, un jeune mâle est trouvé par Leslie, et confié à l'association.

Son état est inquiétant, cachectique, puces ? parasites ?

... placée dans une famille d'accueil en Guadeloupe ...

Cette truffe est placée dans une famille d'accueil, chez Blanche.

Elle a pour mission de l'héberger, d'assurer ses soins quotidiens, l'aider à reprendre confiance.

👉 Devenir famille d'accueil

Hercule, placé en FA
Hercule, Marainé
... marrainé, il devient Hercule 🐶 ...

Une demande de parrainage/marrainage est lancée sur les réseaux sociaux afin de subvenir aux premiers frais : 60€ pour les chiots, 120€ pour les adultes.

Sa marraine est trouvée, Emma le baptise Hercule 😊

👉 Parrainer/marrainer

... visite chez le vétérinaire 💉 ...

Sa famille d'accueil l'emmenène chez le vétérinaire : le moment du checkup arrive, ainsi que celui de la castration.

On discute également de ses hanches "affaissées" : on soupçonne chez Hercule un problème de dysplasie.

Pucé et identifié, Hercule est désormais adoptable ! Son annonce est publiée sur tous nos sites et réseaux sociaux.

👉 Nos truffes à l'adoption

Hercule, visite vétérinaire
Hercule, fret
... son arrivée en métropole ✈️ ...

L'association décide de le faire venir en métropole pour confirmer sa dysplasie, et lui fournir les soins nécessaires.

Il est récupéré au fret d'Orly, le 30 août, avec tous ses copains de voyage.

... et sa nouvelle famille d'accueil ...

Puis il est accueilli par Aurélie & Benoît, sa nouvelle famille d'accueil en métropole.

👉 Devenir famille d'accueil

Hercule, fret
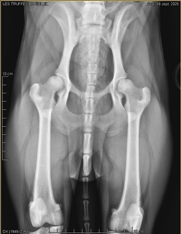
Hercule, consultation orthopédique
... consultation orthopédique ...

Le 16 septembre, l'orthopédiste confirme sa légère dysplasie.

Une alimentation dédiée ainsi que des soins d'hydrothérapie lui sont prescrits.

👉 Faire un don

... un dossier d'adoption 🥳 ...

Le 20 septembre, un dossier d'adoption est retenu, Hercule a trouvé sa famille !

Ne reste alors qu'à entreprendre les démarches administratives.

👉 Adopter !

Hercule, adoption
Hercule, récupération
... sa famille vient le récupérer 💖

Le 5 octobre, sa famille d'adoption vient le récupérer chez sa famille d'accueil.

Après avoir discuter d'Hercule autour d'un café et une ballade de transition dans les bois, Hercule part pour une nouvelle aventure avec son adoptante !

On parle de nous

Un moment suspendu, gravé dans nos mémoires et nos cœurs 🩷

Chers amis des truffes et chers adoptants,

C'est avec une immense joie que nous vous partageons une journée précieuse : un tournage unique aux côtés de Squeezie et de son équipe, qui ont choisi notre association pour faire briller le lien entre humains et animaux. 🫶

Cette belle journée a également été partagée avec notre association partenaire Hop Hop Hop, on adopte !

Deux associations, une même cause, un même combat : celui du respect et de l'amour pour tous nos protégés. 🐾

Dès le début, nous avons été bluffés par l'organisation exemplaire, entièrement centrée sur le bien-être de nos protégés. Chaque détail comptait : un espace calme aménagé spécialement pour eux, de la nourriture, de l'eau, des jouets, des coussins… bref un véritable coin de paradis.🌈

Parmi les participants, 5 de nos petites truffes ont pu jouer les stars 🤩 : Helios, Paco, Spoutnik, Surya et Woopy ont su faire fondre le cœur de chacun.

Toute l'équipe s'est montrée d'une douceur et d'une bienveillance rares, malgré leur travail personnel, prenant soin de respecter le rythme et les besoins de chaque truffe tout en étant à l'écoute de notre travail associatif et des histoires de nos compagnons. 🙏

Nous avons également beaucoup apprécié le fait que Squeezie, Djilsi, Joyca, Théodort et toute l'équipe se soient souciés du passé, et du devenir de nos petites truffes avec une grande bienveillance.🥰

Nous remercions chaleureusement Julie, Charly et l'ensemble de l'équipe pour leur respect, leur attention, et leur volonté sincère de mettre en lumière l'importance de l'adoption responsable et du travail de terrain des associations.💞

Dans un monde où l'image peut parfois trahir la réalité, nous avons eu le plaisir de constater que Squeezie correspond très exactement à ce qu'il est en réalité, une personne bienveillante, soucieuse du bien-être des animaux et des gens présents, et qui a su s'entourer d'une équipe sincère, humaine et touchante, à l'image de celui qui l'a formée. 🌟

Nous savons qu'il y en aura toujours, mais qu'importe les mauvaises langues ou les interprétations erronées : ce que nous avons vécu, c'est un moment d'une rare qualité, empreint de respect, d'empathie et de solidarité.🤗

Merci du fond du cœur d'avoir permis à nos truffes de vivre cette belle expérience.

Et merci à vous, adoptants et soutiens de toujours, de croire en notre mission 🐶❤️

Bilan de l'année 2025 en quelques chiffres :

Bilan 2024

L'équipe des Truffes

Fiona
Ensemble nous pouvons changer les choses
Rachel
Une nouvelle aventure dont je suis si fière !
Sarah
Magnifique aventure, très belle équipe, expérience incroyable
Soizic
David
Recueillir, soigner, sauver et aimer, notre but principal

Les membres fondateurs de l'association

Fiona
Rachel
Raphaëlle
David
preview
X